Seiteninhalt
Gremmendorfer Weg
Fahrradstraßen
Ein Teilstück des Gremmendorfer Wegs wird Fahrradstraße
Ein Abschnitt des Gremmendorfer Wegs entlang der Bahngleise ist Teil der Veloroute Everswinkel – Münster. Er stellt eine wichtige Radverbindung zwischen den Stadtteilen Wolbeck, Angelmodde, Gremmendorf und der Innenstadt dar. Zudem liegt der Bereich in unmittelbarer Nähe zum geplanten WLE-Haltepunkt und ist im Fahrradnetz 2.0 als priorisierte Maßnahme vorgesehen.
Um den Radverkehr hier künftig komfortabler und sicherer zu gestalten, soll dieser Abschnitt zur FahrradstraßePlus umgebaut werden. Da in diesem Bereich ohnehin eine Erneuerung der Fahrbahndecke erforderlich ist, werden dadurch Ressourcen wie Zeit, Personal und finanzielle Mittel effizient eingesetzt.
Der politische Planungs- und Baubeschluss für die Fahrradstraße soll voraussichtlich am 17. Juni im Ausschuss für Verkehr und Mobilität gefasst werden. Hinweise und Anregungen zu den Planungsideen können bis zum 12. April dem Fahrradbüro mitgeteilt werden: Telefon 0251 492-7272 | E-Mail fahrradbuero@stadt-muenster.de.
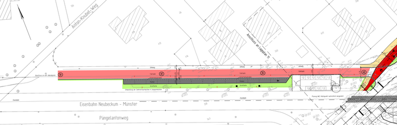
Darstellung des Vorhabens
Rote Fahrbahn, Kfz-Längsparken und neue Radabstellplätze
Damit künftig für Alle klar erkennbar ist, dass es sich um eine Fahrradstraße handelt, soll roter Heißasphalt als Fahrbahnbelag eingebaut werden. Da in diesem Abschnitt ohnehin eine Erneuerung der Fahrbahndecke erforderlich ist, können beide Maßnahmen sinnvoll miteinander kombiniert und Ressourcen wie Zeit, Personal und finanzielle Mittel effizient eingesetzt werden.
Die Fahrbahn erhält eine Gesamtbreite von 4,75 Metern: eine 4,00 Meter breite Fahrradstraße sowie einen 0,75 Meter breiten Sicherheitstrennstreifen zu parkenden Fahrzeugen. Die Stellplätze werden auf eine Tiefe von 2,00 Metern zurückgebaut, sodass künftig nur noch Längsparken möglich ist. Dadurch werden Risiken beim Ausparken für den Radverkehr reduziert. Die damit frei gewordenen Flächen können entsiegelt und begrünt werden. Der derzeit 1,50 Meter breite Gehweg bleibt aufgrund des geringen Fußverkehrs in seiner Breite erhalten und wird mit neuem Pflaster ausgestattet.
Auf einem Teil der bisherigen Stellplatzfläche entsteht zudem eine Leezenbox mit rund 120 wetter- und vandalismussicheren Fahrradabstellplätzen. Aufgrund der erforderlichen
Sicherheitsabstände zur Gleisanlage wird die Fahrradstraße in diesem Bereich punktuell auf 3,45 Meter verengt.
Für die Verlegung des Wochenmarktes werden derzeit verschiedene Standorte im Bereich York, Neue Mitte und Gremmendorfer Meile geprüft.
Beteiligungsformate
Der politische Planungs- und Baubeschluss für die Fahrradstraße soll voraussichtlich am 17. Juni im Ausschuss für Verkehr und Mobilität gefasst werden.
Ihre Hinweise und Anregungen zu den Planungsideen können bis zum 12. April telefonisch oder per E-Mail dem Fahrradbüro mitgeteilt werden: 0251 492-7272 | fahrradbuero@stadt-muenster.de


